Szczegóły licytacji
Komornik Sądowy
przy Sądzie Rejonowym w Bytomiu
Filip Probierz
Kancelaria Komornicza, Hutnicza 9, Bytom, 41-923 Bytom
tel. 511907783 / fax.
Sygnatura: Km 647/23
OBWIESZCZENIE O PIERWSZEJ LICYTACJI NIERUCHOMOŚCI W DRODZE LICYTACJI ELEKTRONICZNEJ
Komornik Sądowy przy Sądzie Rejonowym w Bytomiu Filip Probierz Kancelaria Komornicza nr VIII w Bytomiu podaje do publicznej wiadomości, że w sprawie Km 647/23 rozpocznie się w trybie ustalonym w art. 9864 § 4 ustawy z dnia 17 listopada 1964 r. Kodeks postępowania cywilnego (dalej: kpc) pierwsza licytacja w trybie elektronicznym następujących nieruchomości:
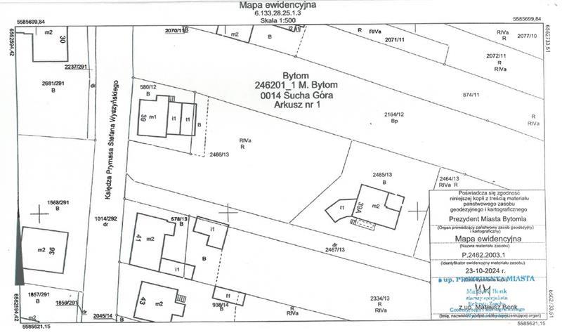
- nieruchomości położonej przy Wyszyńskiego przed 39, 41-935 Bytom, dla której Sąd Rejonowy w Bytomiu Wydział Ksiąg Wieczystych (adres: ul. Piekarska 1, Bytom, 41-902 Bytom) prowadzi księgę wieczystą o numerze KA1Y/00063500/7.
Opis nieruchomości:
Nieruchomość stanowiąca działkę o numerze 2466/13, dla której Sąd Rejonowy w Bytomiu prowadzi księgę wieczystą nr KA1Y/00063500/7. Działka ma powierzchnię 1.169,00 m2, ma kształt nieregularny częściowo zbliżony do trapezu, z wycięciem po stronie północno-zachodnim.
Nieruchomość uzbrojona w instalacje energii elektrycznej, kanalizacji miejskiej oraz wodociągowej. Nieruchomość posiada bezpośredni dostęp do drogi publicznej ul. Prymasa Wyszyńskiego przed posesją o numerze 39. Częściowo ogrodzona siatką metalową. W centralnym miejscu na działce znajduje się zbiornik wodny o powierzchni ok. 160 m2. Zgodnie z informacją Rejonowego Zarządu Gospodarki Wodnej w Gliwicach zbiornik wodny nie figuruje w administracji Państwowego Gospodarstwa Wodnego Wody Polskie. Nieruchomość nie jest zabudowana, przy czym część budynku garażowego znajdującego się na działce nr 580/12 jest zlokalizowana na przedmiotowej działce na obszarze ok 6m2. Budynek jest w całości związany z działką nr 580/12 która nie stanowi przedmiotu licytacji.
Nieruchomość w całości położona na terenie przeznaczonym pod zabudowę jednorodzinną oraz niskiej intensywności oznaczonym symbolem 6.M1 zgodnie ze studium uwarunkowań i kierunków zagospodarowania Gminy Bytom z dnia 24-08-2011 sygn. XVI/204/11, przy czym zgodnie z wypisem z rejestru gruntów działka w części 0,0060 ha stanowi tereny mieszkaniowe, zaś w części 0,1109 stanowi grunty orne klasy RIVa.
Zbiornik wodny zlokalizowany na nieruchomości znajduje się na obszarze ochronnym Głównego Zbiornika Wód Ziemnych nr 330 - Zbiornik Gliwice na podobszarze A2, na którym zgodnie z rozporządzeniem Wojewody Śląskiego z dnia 27-09-2023 (dziennik urzędowy Województwa Śląskiego poz nr 7220), zakazuje się następujących robót i czynności:
"1) wprowadzania ścieków do wód lub do ziemi na obszarach aglomeracji objętych planami skanalizowania, za wyjątkiem: a) oczyszczonych ścieków ze stacji uzdatniania wody, b) oczyszczonych ścieków z istniejących instalacji do oczyszczania ścieków, spełniających kryteria określone w rozporządzeniu Ministra Gospodarki Morskiej i Żeglugi Śródlądowej z dnia 12 lipca 2019 r. w sprawie substancji szczególnie szkodliwych dla środowiska wodnego oraz warunków, jakie należy spełnić przy wprowadzaniu do wód lub do ziemi ścieków, a także przy odprowadzaniu wód opadowych lub roztopowych do wód lub do urządzeń wodnych (Dz. U. poz. 1311), c) wód pochodzących z odwadniania zakładów górniczych; 2) rolniczego wykorzystywania ścieków; 3) wydobywania kopalin ze złóż metodą odkrywkową bez względu na powierzchnię obszaru górniczego, jeżeli sposób realizacji przedsięwzięcia nie zapewnia ochrony wód podziemnych przed ich zanieczyszczeniem na etapie eksploatacji, jak i po jej zakończeniu; 4) lokalizowania nowych przedsięwzięć mogących znacząco oddziaływać na środowisko, za wyjątkiem przedsięwzięć dla których przeprowadzona ocena oddziaływania na środowisko oraz dokumentacja hydrogeologiczna wykaże brak negatywnego wpływu na zasoby jakościowe i ilościowe wód podziemnych. ; 1) wprowadzania ścieków do wód lub do ziemi, za wyjątkiem: a) oczyszczonych ścieków ze stacji uzdatniania wody, b) oczyszczonych ścieków z istniejących instalacji do oczyszczania ścieków, spełniających kryteria określone w rozporządzeniu Ministra Gospodarki Morskiej i Żeglugi Śródlądowej z dnia 12 lipca 2019 r. w sprawie substancji szczególnie szkodliwych dla środowiska wodnego oraz warunków, jakie należy spełnić przy wprowadzaniu do wód lub do ziemi ścieków, a także przy odprowadzaniu wód opadowych lub roztopowych do wód lub do urządzeń wodnych, c) wód pochodzących z odwadniania zakładów górniczych; 2) stosowania nawozów naturalnych w postaci płynnej; 3) lokalizowania ferm chowu lub hodowli zwierząt; 4) grzebania martwych zwierząt.
Suma oszacowania wynosi 112 000,00 zł, zaś cena wywołania jest równa 3/4 sumy oszacowania i wynosi 84 000,00 zł.
W ciągu dwóch tygodni przed licytacją wolno oglądać wyżej wymienioną nieruchomość w dni powszednie od godz. 10:00 do godz. 10:30. W systemie teleinformatycznym udostępnia się natomiast protokół opisu i oszacowania.
Licytant przystępujący do przetargu powinien złożyć rękojmię w wysokości jednej dziesiątej sumy oszacowania, to jest kwotę 11 200,00 zł.
Rękojmię należy złożyć na rachunek bankowy komornika 66 1050 1911 1000 0090 6969 4520 najpóźniej na 2 dni robocze przed rozpoczęciem przetargu.
Przetarg odbywa się w trybie sprzedaży nieruchomości w drodze licytacji elektronicznej i rozpocznie się w dniu: 10.12.2025 o godzinie: 10.00 a zakończy się w dniu 17.12.2025 o godzinie: 10.00. Na podstawie art. 9867 § 31 kpc, jeżeli w ciągu 5 minut przed planowanym terminem zakończenia przetargu zgłoszono postąpienie, termin ten ulega odroczeniu o 5 minut. Jeżeli w dodatkowym czasie zgłoszono dalsze postąpienie, termin zakończenia przetargu podlega każdorazowo odroczeniu o kolejne 5 minut, aż do momentu gdy ustaną postąpienia.
Sprzedaż dokonywana jest w drodze licytacji elektronicznej. Uczestnictwo w przetargu wymaga założenia konta w systemie teleinformatycznym obsługującym licytacje elektroniczne dostępnym pod adresem https://elicytacje.komornik.pl/ oraz przystąpienia do przetargu na dwa dni robocze przed jego rozpoczęciem. Licytant składa rękojmię najpóźniej na 2 dni robocze przed rozpoczęciem przetargu, a jeżeli bierze udział w licytacji jako pełnomocnik innej osoby, to przedkłada dodatkowo swoje umocowanie. Udział jednego licytanta wystarcza do odbycia przetargu.
Na podstawie art. 9864 § 2 kpc warunkiem udziału w przetargu jest utworzenie indywidualnego konta w systemie teleinformatycznym.
Prawa osób trzecich nie będą przeszkodą do przeprowadzenia licytacji i przybicia na rzecz nabywcy bez zastrzeżeń, jeżeli osoby te przed rozpoczęciem przetargu nie złożą dowodu, że wniosły powództwo o zwolnienie przedmiotów od egzekucji i uzyskały w tym zakresie orzeczenie wstrzymujące egzekucję.
Użytkowanie, służebności i prawa dożywotnika, jeżeli nie są ujawnione w księdze wieczystej lub przez złożenie dokumentu do zbioru dokumentów i nie zostaną zgłoszone najpóźniej na trzy dni przed rozpoczęciem licytacji, nie będą uwzględnione w dalszym toku egzekucji i wygasną z chwilą uprawomocnienia się postanowienia o przysądzeniu własności.
Zgodnie z art. 976 kpc, w przetargu nie mogą uczestniczyć: dłużnik, komornik, ich małżonkowie, dzieci, rodzice i rodzeństwo oraz osoby obecne na licytacji w charakterze urzędowym, licytant, który nie wykonał warunków poprzedniej licytacji, osoby, które mogą nabyć nieruchomość tylko za zezwoleniem organu państwowego, a zezwolenia tego nie przedstawiły.
Komornik Sądowy
Filip Probierz


