Szczegóły licytacji
Komornik Sądowy
przy Sądzie Rejonowym Gdańsk-Północ w Gdańsku
Mariusz Bojeczko
Kancelaria Komornicza, ul. Świętopełka 2, Gdańsk, 80-361 Gdańsk
tel. 58 3223144 / fax. 58 3223144
Sygnatura: Km 2311/18
OBWIESZCZENIE O PIERWSZEJ LICYTACJI NIERUCHOMOŚCI W DRODZE LICYTACJI ELEKTRONICZNEJ
Komornik Sądowy przy Sądzie Rejonowym Gdańsk-Północ w Gdańsku Mariusz Bojeczko podaje do publicznej wiadomości, że w sprawie Km 2311/18 w dniu: 29.01.2026 o godzinie: 11:00 rozpocznie się w trybie ustalonym w art. 9864 § 4 ustawy z dnia 17 listopada 1964 r. Kodeks postępowania cywilnego (dalej: kpc) pierwsza licytacja w trybie elektronicznym następujących nieruchomości:
- spółdzielczego lokalu mieszkalnego położonego przy ul. Krzysztofa Kolumba 2 B/10, 80-288 Gdańsk wpisanego w rejestrze lokali własnościowych: Lokatrosko-Własnościowa Spółdzielnia Mieszkaniowa "Morena" w Gdańsku pod numerem - (adres spółdzielni: Migowska 77A, Gdańsk, 80-287 Gdańsk).
Opis nieruchomości:
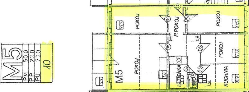
Ograniczone prawo rzeczowe stanowiące spółdzielcze własnościowe prawo do lokalu mieszkalnego nr 10 położonego w klatce B na III piętrze budynku mieszkalnego, wielorodzinnego typu wieżowiec, usytuowanego w Gdańsku przy ul. Kolumba 2, wpisanego w rejestrze lokali własnościowych Lokatorsko-Własnościowej Spółdzielni Mieszkaniowej "Morena" w Gdańsku (Adres spółdzielni: 80-287 Gdańsk, ul. Migowska 77A), o powierzchni użytkowej 73,00m2, składającego się z pokoju dziennego, trzech pokoi sypialnych, kuchni, łazienki, pomieszczenia z WC oraz przedpokoju. Lokal posiada balkon oraz przynależy do niego użytkowane zwyczajowo pomieszczenie piwniczne nr 10 o pow. 2,73m2. Dla przedmiotowego ograniczonego prawa rzeczowego nie urządzono księgi wieczystej.
Suma oszacowania wynosi 772 400,00 zł, zaś cena wywołania jest równa 3/4 sumy oszacowania i wynosi 579 300,00 zł.
Nieruchomość można oglądać w następujących terminach:
| Data oględzin | Godziny oględzin |
|---|---|
| 16.01.2026 | 15:00 - 15:30 |
| 20.01.2026 | 15:00 - 15:30 |
| 22.01.2026 | 15:00 - 15:30 |
| 26.01.2026 | 15:00 - 15:30 |
W systemie teleinformatycznym udostępnia się również protokół opisu i oszacowania nieruchomości.
Licytant przystępujący do przetargu powinien złożyć rękojmię w wysokości jednej dziesiątej sumy oszacowania, to jest kwotę 77 240,00 zł.
Rękojmię należy złożyć na rachunek bankowy komornika 09 1240 5400 1111 0000 4916 4028 najpóźniej na 2 dni robocze przed rozpoczęciem przetargu.
Sprzedaż dokonywana jest w drodze licytacji elektronicznej. Uczestnictwo w przetargu wymaga założenia konta w systemie teleinformatycznym obsługującym licytacje elektroniczne dostępnym pod adresem https://elicytacje.komornik.pl/ oraz przystąpienia do przetargu na dwa dni robocze przed jego rozpoczęciem. Licytant składa rękojmię najpóźniej na 2 dni robocze przed rozpoczęciem przetargu, a jeżeli bierze udział w licytacji jako pełnomocnik innej osoby, to przedkłada dodatkowo swoje umocowanie. Udział jednego licytanta wystarcza do odbycia przetargu.
Na podstawie art. 9864 § 2 kpc warunkiem udziału w przetargu jest utworzenie indywidualnego konta w systemie teleinformatycznym.
Licytacje wyżej wymienionych nieruchomości odbywają się w trybie elektronicznym i zakończą się w dniu: 05.02.2026 o godzinie: 11:00. Na podstawie art. 9867po § 31 kpc, jeżeli w ciągu 5 minut przed planowanym terminem zakończenia przetargu zgłoszono postąpienie, termin ten ulega odroczeniu o 5 minut. Jeżeli w dodatkowym czasie zgłoszono dalsze postąpienie, termin zakończenia przetargu podlega każdorazowo odroczeniu o kolejne 5 minut, aż do momentu gdy ustaną postąpienia.
Prawa osób trzecich nie będą przeszkodą do przeprowadzenia licytacji i przybicia na rzecz nabywcy bez zastrzeżeń, jeżeli osoby te przed rozpoczęciem przetargu nie złożą dowodu, że wniosły powództwo o zwolnienie przedmiotów od egzekucji i uzyskały w tym zakresie orzeczenie wstrzymujące egzekucję.
Użytkowanie, służebności i prawa dożywotnika, jeżeli nie są ujawnione w księdze wieczystej lub przez złożenie dokumentu do zbioru dokumentów i nie zostaną zgłoszone najpóźniej na trzy dni przed rozpoczęciem licytacji, nie będą uwzględnione w dalszym toku egzekucji i wygasną z chwilą uprawomocnienia się postanowienia o przysądzeniu własności.
Zgodnie z art. 976 kpc, w przetargu nie mogą uczestniczyć: dłużnik, komornik, ich małżonkowie, dzieci, rodzice i rodzeństwo oraz osoby obecne na licytacji w charakterze urzędowym, licytant, który nie wykonał warunków poprzedniej licytacji, osoby, które mogą nabyć nieruchomość tylko za zezwoleniem organu państwowego, a zezwolenia tego nie przedstawiły.
Komornik Sądowy
Mariusz Bojeczko


