Szczegóły licytacji
Komornik Sądowy
przy Sądzie Rejonowym w Trzebnicy
Anna Garczyńska
Kancelaria Komornicza, Norwida 1, Trzebnica, 55-100 Trzebnica
tel. 71 312 03 68, kom. 793 282 174 / fax. 71 312 03 68
Sygnatura: Km 1385/19
OBWIESZCZENIE O DRUGIEJ LICYTACJI NIERUCHOMOŚCI
Komornik Sądowy przy Sądzie Rejonowym w Trzebnicy Anna Garczyńska na podstawie art. 953 ustawy z dnia 17 listopada 1964 r. Kodeks postępowania cywilnego (dalej: kpc) podaje do publicznej wiadomości, że w sprawie Km 1385/19 w dniu 04-03-2026 o godz. 09:00 w budynku Sądu Rejonowego w Trzebnicy z siedzibą przy Parkowa 4, 55-100 , sala 1, odbędzie się druga licytacja:
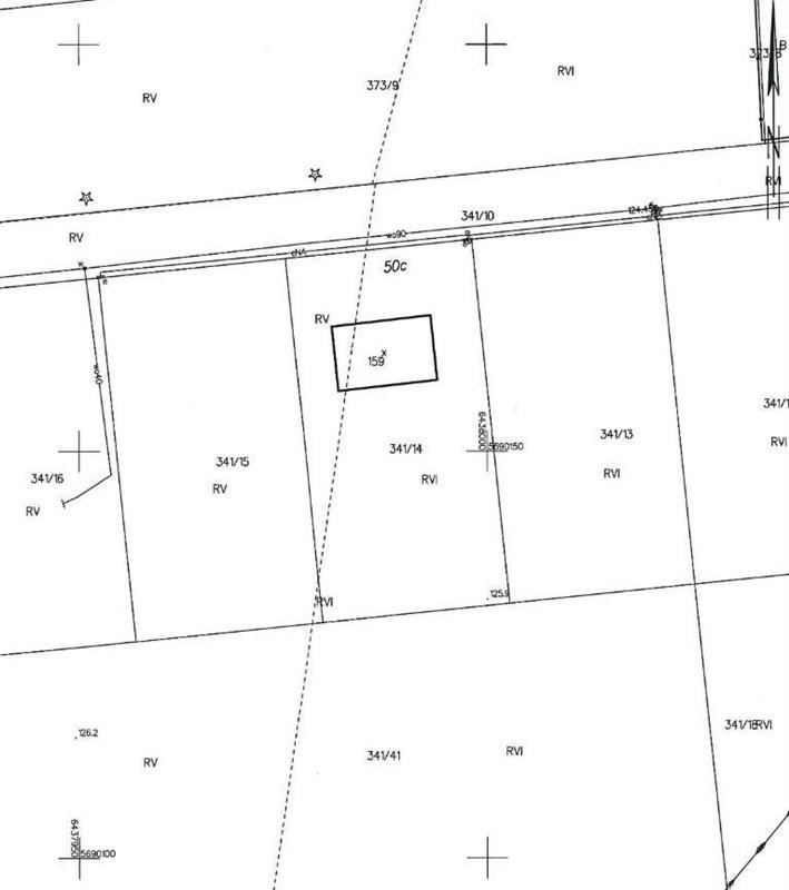
- nieruchomości, której właścicielami są Monika Szymańska, Marek Szymański położonej przy Ligota 50C,Ligota, 55-100 Trzebnica, dla której Sąd Rejonowy w Trzebnicy IV Wydział Ksiąg Wieczystych (adres: ul. Parkowa 4, Trzebnica, 55-100 Trzebnica) prowadzi księgę wieczystą o numerze WR1W/00040020/8.
Opis nieruchomości:
Nieruchomość zabudowana budynkiem mieszkalnym jednorodzinnym w budowie. Działka nie posiada bezpośredniego dostępu do drogi głównej. Dojazd do działki drogą nieutwardzoną, gruntową, zarośniętą trawą, o numerze geodezyjnym 341/10, stanowi dojazd do nieruchomości – działek przyległych, połączona jest z drogą nr 350 o nawierzchni asfaltowej. Na działce posadowiony jest budynek mieszkalny, parterowy z poddaszem użytkowym, z garażem. W PINB w Trzebnicy brak złożonego zawiadomienia o zakończeniu budowy lub wniosku o pozwolenie na użytkowanie. Powierzchnia użytkowa 89,65m2 (powierzchnię użytkową Biegły Sądowy przyjął, bez garażu i kotłowni, z projektu budowlanego). Rodzaj użytku – RV – Grunty orne – 0,0198 ha, rodzaj użytku – RVI – Grunty orne – 0,0837 ha. Stopień zaawansowania budowy budynku mieszkalnego (z uwzględnieniem stanu technicznego budynku) 80 %. Działka nr 341/14 obręb Ligota jest objęta miejscowym planem zagospodarowania przestrzennego, gdzie teren oznaczono symbolem 22 Mj3 - zabudowa mieszkaniowa jednorodzinna wolnostojąca i bliźniacza.
Suma oszacowania wynosi 406 013,00 zł, zaś cena wywołania jest równa 2/3 sumy oszacowania i wynosi 270 675,33 zł. Licytant przystępujący do przetargu powinien złożyć rękojmię w wysokości jednej dziesiątej sumy oszacowania, to jest kwotę 40 601,30 zł.
W ciągu dwóch tygodni przed licytacją wolno oglądać wyżej wymienioną nieruchomość w dni powszednie od godz. 11:00 do godz. 14:00. Protokół opisu i oszacowania można przeglądać w siedzibie Sądu Rejonowego w Trzebnicy ul. Parkowa4, 55-100 Trzebnica.
Zgodnie z art. 962 kpc licytant przystępujący do przetargu powinien złożyć rękojmię najpóźniej w dniu poprzedzającym przetarg.
Rękojmię należy złożyć na konto komornika: PKO BP SA OLEŚNICA 66 1020 5297 0000 1802 0002 5452.
Za datę złożenia rękojmi przyjmuje się dzień uznania rachunku bankowego komornika.
Rękojmia może być również złożona w książeczce oszczędnościowej zaopatrzonej w upoważnienie właściciela książeczki do wypłaty całego wkładu stosownie do prawomocnego postanowienia sądu o utracie rękojmi.
Stawienie się jednego licytanta wystarcza do odbycia przetargu.
Prawa osób trzecich nie będą przeszkodą do licytacji i przysądzenia własności na rzecz nabywcy bez zastrzeżeń, jeżeli osoby te przed rozpoczęciem przetargu nie złożą dowodu, iż wniosły powództwo o zwolnienie nieruchomości lub przedmiotów razem z nią zajętych od egzekucji i uzyskały w tym zakresie orzeczenie wstrzymujące egzekucję.
Użytkowanie, służebności i prawa dożywotnika, jeżeli nie są ujawnione w księdze wieczystej lub przez złożenie dokumentu do zbioru dokumentów i nie zostaną zgłoszone najpóźniej na trzy dni przed rozpoczęciem licytacji, nie będą uwzględnione w dalszym toku egzekucji i wygasną z chwilą uprawomocnienia się postanowienia o przysądzeniu własności.
Zgodnie z przepisem art. 976 § 1 kpc w przetargu w przetargu nie mogą uczestniczyć: dłużnik, komornik, ich małżonkowie, dzieci, rodzice i rodzeństwo oraz osoby obecne na licytacji w charakterze urzędowym, licytant, który nie wykonał warunków poprzedniej licytacji, osoby, które mogą nabyć nieruchomość tylko za zezwoleniem organu państwowego, a zezwolenia tego nie przedstawiły.
Komornik Sądowy
Anna Garczyńska


