Szczegóły licytacji
Komornik Sądowy
przy Sądzie Rejonowym w Przasnyszu
Przemysław Wesoły
Kancelaria Komornicza NR 4, ul. Miła 40C, Przasnysz, 06-300 Przasnysz
tel. 297563306 / EMAIL:kancelariaprzasnysz@vp.pl
Sygnatura: KM 1969/17 i inne
OBWIESZCZENIE O PIERWSZEJ LICYTACJI NIERUCHOMOŚCI W DRODZE LICYTACJI ELEKTRONICZNEJ
Komornik Sądowy przy Sądzie Rejonowym w Przasnyszu, Przemysław Wesoły, Kancelaria Komornicza nr IV w Przasnyszu podaje do publicznej wiadomości, że w sprawie KM 1969/17 i inne w dniu: 19.03.2026 o godzinie: 10:00 rozpocznie się w trybie ustalonym w art. 9864 § 4 ustawy z dnia 17 listopada 1964 r. Kodeks postępowania cywilnego (dalej: kpc) pierwsza licytacja w trybie elektronicznym następujących nieruchomości:
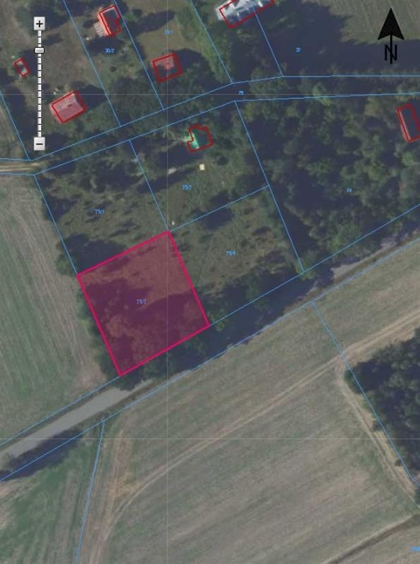
- nieruchomości położonej przy Nowy Szelków gmina Szelków -,Nowy Szelków, 06-200 Szelków, dla której Sąd Rejonowy w Przasnyszu IV Wydział Ksiąg Wieczystych (adres: ul. ŚWIERKOWA 7, Przasnysz, 06-300 Przasnysz) prowadzi księgę wieczystą o numerze OS1P/00054530/9.
Opis nieruchomości:
nieruchomość gruntowa niezabudowane działki nr. 23/1, 23/3, 23/4 o pow. łącznej 0,4955 ha położone w miejscowości Nowy Szelków gm. Szelków dla której IV Wydział Ksiąg Wieczystych Sądu Rejonowego w Przasnyszu prowadzi księgę wieczystą OS1P/00054530/9 - tereny rolnicze oznaczone symbolem R-1
Suma oszacowania wynosi 91 300,00 zł, zaś cena wywołania jest równa 3/4 sumy oszacowania i wynosi 68 475,00 zł.
W ciągu dwóch tygodni przed licytacją wolno oglądać wyżej wymienioną nieruchomość w dni powszednie od godz. 12:00 do godz. 14:00. W systemie teleinformatycznym udostępnia się natomiast protokół opisu i oszacowania.
Licytant przystępujący do przetargu powinien złożyć rękojmię w wysokości jednej dziesiątej sumy oszacowania, to jest kwotę 9 130,00 zł.
Rękojmię należy złożyć na rachunek bankowy komornika 40 1020 3802 0000 1102 0037 9107 najpóźniej na 2 dni robocze przed rozpoczęciem przetargu.
Sprzedaż dokonywana jest w drodze licytacji elektronicznej. Uczestnictwo w przetargu wymaga założenia konta w systemie teleinformatycznym obsługującym licytacje elektroniczne dostępnym pod adresem https://elicytacje.komornik.pl/ oraz przystąpienia do przetargu na dwa dni robocze przed jego rozpoczęciem. Licytant składa rękojmię najpóźniej na 2 dni robocze przed rozpoczęciem przetargu, a jeżeli bierze udział w licytacji jako pełnomocnik innej osoby, to przedkłada dodatkowo swoje umocowanie. Udział jednego licytanta wystarcza do odbycia przetargu.
Na podstawie art. 9864 § 2 kpc warunkiem udziału w przetargu jest utworzenie indywidualnego konta w systemie teleinformatycznym.
Licytacje wyżej wymienionych nieruchomości odbywają się w trybie elektronicznym i zakończą się w dniu: 26.03.2026 o godzinie: 10:00. Na podstawie art. 9867po § 31 kpc, jeżeli w ciągu 5 minut przed planowanym terminem zakończenia przetargu zgłoszono postąpienie, termin ten ulega odroczeniu o 5 minut. Jeżeli w dodatkowym czasie zgłoszono dalsze postąpienie, termin zakończenia przetargu podlega każdorazowo odroczeniu o kolejne 5 minut, aż do momentu gdy ustaną postąpienia.
Prawa osób trzecich nie będą przeszkodą do przeprowadzenia licytacji i przybicia na rzecz nabywcy bez zastrzeżeń, jeżeli osoby te przed rozpoczęciem przetargu nie złożą dowodu, że wniosły powództwo o zwolnienie przedmiotów od egzekucji i uzyskały w tym zakresie orzeczenie wstrzymujące egzekucję.
Użytkowanie, służebności i prawa dożywotnika, jeżeli nie są ujawnione w księdze wieczystej lub przez złożenie dokumentu do zbioru dokumentów i nie zostaną zgłoszone najpóźniej na trzy dni przed rozpoczęciem licytacji, nie będą uwzględnione w dalszym toku egzekucji i wygasną z chwilą uprawomocnienia się postanowienia o przysądzeniu własności.
Zgodnie z art. 976 kpc, w przetargu nie mogą uczestniczyć: dłużnik, komornik, ich małżonkowie, dzieci, rodzice i rodzeństwo oraz osoby obecne na licytacji w charakterze urzędowym, licytant, który nie wykonał warunków poprzedniej licytacji, osoby, które mogą nabyć nieruchomość tylko za zezwoleniem organu państwowego, a zezwolenia tego nie przedstawiły.
Komornik Sądowy
Przemysław Wesoły


